Съдържание
Има голямо разнообразие от сортове грозде, сред които има трапезно и винено грозде, както и за универсални цели. В нашата статия ще говорим за сорта, който прави най-вкусното бяло вино - гроздето Citron Magaracha. Въпреки че самите плодове са не по-малко вкусни.
Лимонено грозде Magaracha (описание на сорта, снимки, рецензии на градинари са представени по-долу) през последните години привлича лозари от различни региони на Русия. Мнозина се интересуват дали е възможно да се отглежда лозата в райони с рисково земеделие. Нека се опитаме да се справим с този проблем.
Историческа информация
Цитроново грозде от Махарах от руски произход. Градинарите трябва да благодарят на Кримския институт за вино и грозде Магарач. През 70-те години на миналия век учените са кръстосали две разновидности - Мадлен Ангевин, техническа форма за разплод Magarach 124-66-26 и Новоукраинско ранно грозде.
Резултатът беше постигнат дълго време, беше извършена титанична работа, но ефектът зарадва не само създателите, но и градинарите. Описанието на новия сорт Citronny Magaracha е напълно вярно. Мащабите на отглеждането му продължават да се увеличават и в момента.
Тъй като през 90-те Крим стана част от Украйна, процедурата по регистрация беше извършена в новата държава. Сортът е одобрен за индустриално отглеждане в Украйна от 2002 г.
Свойствени свойства
Citronny Magaracha е сорт грозде за технически цели. Използва се за приготвяне на бели ароматни вина с най-високо качество.
Краснодарска територия, Ростовска област, Ставрополска територия и Северен Кавказ - това са регионите, в които се отглежда грозде Citron в промишлен мащаб и на частни парцели.
Сега да преминем към описанието на сорта и снимката ще потвърди нашите думи.
Характеристики на храста
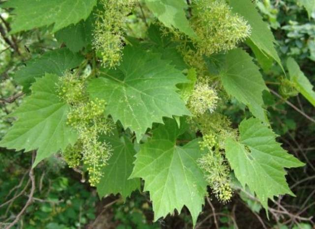
Като правило храстите са средни или енергични. Листата са средни, заоблени. Има три или пет остриета. Горната повърхност на листната плоча е гладка; от долната страна също няма косми.
Цветовете са двуполови, няма нужда да се засажда опрашващо грозде. Наборът от плодове е почти 100%, така че няма грах.
Гроздове и горски плодове
Коничните или цилиндро-коничните клъстери са със средна плътност. Тегло от 300 до 400 грама. Плодовете са средни, по-кръгли, с тегло от 5 до 7 грама. Плодовете са жълти или жълто-зелени на цвят с белезникав цвят.
Кожата е стегната, но не дебела. Самите плодове са сочни с хармоничен, изразен послевкус на индийско орехче и лимон. Има овални семена, но няма много от тях, само 3 или 4 парчета.
Ползи от сорта
Популярността на гроздето се дава от следните характерни черти на сорта:
- Стабилен добив: при отглеждане в промишлен мащаб до 200 ц / хектар. И от един храст се събират около 9 кг.
- Податливостта към болести като плесен, брашнеста мана, сива плесен е ниска. Устойчивостта към филоксера е средна.
- Сортът е издръжлив на зимата, чувства се добре при -25 градуса, така че отглеждането на грозде Citron Magarach в Московския регион е съвсем реалистично, основното е да покриете правилно храстите за зимата.
- Лимонът узрява за 120-130 дни.
- Плодовете са сладки, захарта варира около 23 g / cm3, а киселинността е около 8 g / l.
Сорт Citronny на частен парцел:
Използвайки
От този сорт се прави и шампанско. Това са кехлибарените нотки на виното на снимката по-долу.
Сорт Кишмиш Citronny
Има и друго грозде с подобно име - Citron Kishmish. Той узрява по-рано от Magarach, техническата зрялост настъпва за 110-115 дни.
Гроздовият кишмиш цитрон има двуполови цветя. Гроздове практически без грах, цилиндрични конични, средна плътност.
Белите плодове са овални или овално-яйцевидни. Те не са твърде големи, до 4 грама, но има много от тях на куп, така че достига тегло от 1 кг 200 грама. В плодовете няма семена, въпреки че могат да се появят меки зачатъци. Погледнете снимката по-долу, едно зрънце с размер на монета от пет копейки.
Характеристика
Гроздето Citron Kishmish също е отлична суровина за приготвяне на десертни и трапезни вина, не по-малко вкусни пресни.
Храстите са енергични, вкоренени. Подрязването трябва да е средно до 8 пъпки. Устойчивостта на болести като плесен и брашнеста мана се оценява на 3 - 3,5 точки. Сортът е устойчив на замръзване, толерира спад на температурата до -21 градуса.
Характеристики на засаждане и грижи
- За да получите добри реколти от гроздето Magarach Citron, трябва да помислите за правилното засаждане. Мястото трябва да е слънчево и защитено от студения северен вятър. Най-добре е да засадите храсти в частна зона от южната или югоизточната страна на сградите.
- За сорта Magaracha Citron е необходима плодородна, дренирана почва. Поливането трябва да е обилно, но водата не трябва да застоява, в противен случай корените ще започнат да гният.
-
Преди засаждане към глинестата почва се добавя вар или дървесна пепел. Повторното подхранване се извършва след една година.Ямата за засаждане трябва да бъде обемна, дълбока най-малко 60 см, така че корените да са просторни. Когато засаждате, трябва да дадете кореновата шийка, тя трябва да се задълбочи с 5 см. Насажденията се разливат обилно. Стъпката между разсад е около 2 метра.
- Те хранят храстите с грозде през пролетта, внасят изгнил оборски тор. Докато цветята не цъфтят, трябва да поливате. Поливането не се препоръчва по време на цъфтежа и изливането на гроздове: храстите пускат цветя, плодовете се напукват.
- Гроздето от сорта Citron Magaracha не е необходимо да се претоварва с ненужни клони, то е придирчиво към навременната резитба. Като правило, храстите се оформят под формата на вентилатор с четири рамена, а самите ръкави се нарязват на 8-10 пъпки. На храст за обилно плододаване не остават повече от 30 очи. Цялата работа се извършва през есента след отпадане на листата и узряване на лозите. Издънките и издънките, които дават плодове, и тези, които са насочени към средата на храста, подлежат на резитба.
- Не си струва да се разчита на факта, че според описанието и характеристиките сортът Magaracha Citron е устойчив на болести по гроздето. Особено ако все още имате храсти от други сортове. Превантивните лечения задължително се провеждат няколко пъти през вегетационния период.
-
В допълнение към болестите, гроздето от Magarach Citron и Kishmish Citron е застрашено от оси и птици. Те наистина обичат сладките плодове. Препоръчително е да покриете насажденията с мрежа или да скриете всеки грозд в торба, както е на снимката по-долу.
- И последното нещо. След обработка, подхранване и резитба, лозата се покрива за зимата, когато температурите спаднат (-5 - -10 градуса).








